8
$3,699,000 Sale
Listed 1 hour
116 RAILWAY Avenue SW
· 0
· 0.0
· 0
· -
Key Facts
Key facts for 116 RAILWAY Avenue SW
Property Type
Lots/Land
Parking
Garage: No, 0 parking
MLS #
A2262136
Size
-
Basement
-
Listed on
-
Lot size
-
Tax
-
Days on Market
-
Year Built
-
Maintenance Fee
-
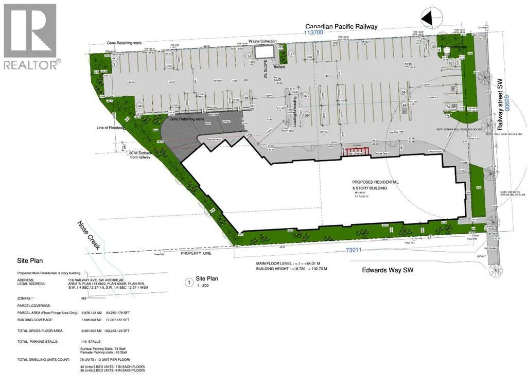
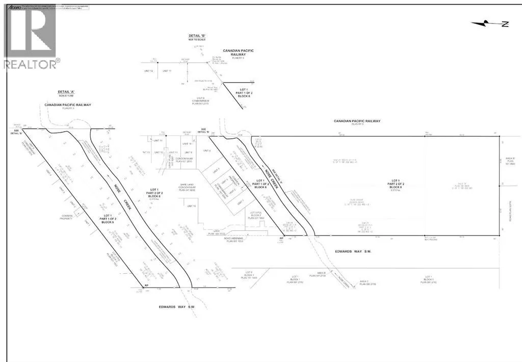
Description
2.34 Acres of Vacant M-3 Zoned Land Prime multi-use site with an approved Development Permit for 78 residential units. Ideally located just east of Sobeys on Railway Avenue, surrounded by completed multifamily developments. A rare opportunity to launch your own construction project in a rapidly grow...ing area. (id:10452)
Similar Properties (No results)
Listing courtesy of: RE/MAX Real Estate (Mountain View)
This REALTOR.ca listing content is owned and licensed by REALTOR® members of The Canadian Real Estate Association.